Dunwich, kota di Inggris yang 'hilang' pada abad ke-13 di dasar laut

Sumber gambar, coastalrunner/Getty Images
- Penulis, Lizzie Enfield
- Peranan, BBC Travel
Dunwich, sebuah kota pelabuhan yang sempat berkembang pesat hilang karena badai pada abad ke-13. Namun baru-baru ini para ilmuwan menemukan bahwa kota tersebut tidak hilang, melainkan ada di bawah laut.
Di pertengahan jalan antara kota Aldeburgh dan tempat tetirah tepi laut Southwold, dua tempat populer di kawasan pantai Suffolk, Inggris, terletak sebuah pedesaan Dunwich yang tenang.
Sekitar 200 orang tinggal di pemukiman satu jalan ini, dengan pub dan penginapan yang nyaman, museum lokal, pantai panjang berpasir kerikil, serta reruntuhan biara.
Anda tak mungkin mengetahuinya sekarang, namun pada abad pertengahan, desa tersebut adalah sebuah pelabuhan yang berkembang seukuran London, yang dibangun di atas kawasan perikanan, perdagangan, dan perlindungan agama.
Biara Greyfiars didirikan oleh para biarawan Fransiskan pada 1250-an di dataran rendah yang dekat dengan laut.
Namun, badai besar yang terjadi pada tahun 1286 menyapu habis biara tersebut, bersamaan dengan perumahan dan bangunan lain.
Reruntuhan tembok batu yang dapat Anda kunjungi hari ini adalah sisa-sisa dari biara "baru", yang dibangun kembali pada akhir abad ke-13 di daratan yang terletak sekitar satu kilometer dari laut.
Baca juga:

Sumber gambar, Paul Dunn/Getty Images
Reruntuhan tersebut berdiri sangat dekat dengan tepi tebing - menggambarkan bagaimana badai, gelombang dan erosi pantai membalikkan keadaan di Dunwich yang tengah berkembang pesat, yang beberapa di antaranya kemudian dibangun di tempat yang lebih tinggi.
Bertahun-tahun berikutnya, muncul sebuah legenda bahwa kota abad pertengahan tersebut tetap utuh di bawah permukaan air: "Atlantis" milik Inggris.
Penduduk setempat bahkan menyebut bahwa pada saat tertentu sewaktu badai, Anda dapat mendengar dentang lonceng gereja.
"Suasana di bentangan garis pantai ini meremang," kata Esther Freud, seorang novelis, cicit dari Sigmund yang tinggal di dekat Walberswick. Kakek-neneknya bermigrasi ke daerah tersebut setelah melarikan diri dari Nazi Jerman.
"Berjalan di sepanjang garis pantai pada hari yang berkabut, Anda akan merasakan masa lalu dan masa kini berbaur dalam ruang batas yang aneh di antara darat dan laut ini."
Namun, para ahli mengira kota tua tersebut sudah lama hancur oleh ombak dan hanyut.
Baca juga:

Sumber gambar, UniversalImagesGroup/Getty
Hingga ketika bukti mulai bermunculan bahwa legenda "Atlantis dari Inggris" bukan sekadar dongeng fantasi, melainkan Dunwich abad pertengahan - setidaknya sebagian dari masa kejayaan sebelumnya - ada di luar sana, hanya beberapa meter dari pantai.
Sejak sekitar tahun 1960-an, para nelayan mulai melaporkan bahwa jaring mereka tersangkut sesuatu di bawah permukaan air tempat kota tua tersebut pernah berdiri.
Berbagai laporan ini mendorong arkeolog kelautan lokal dan Stuart Bacon, seorang penyelam, untuk mencari sisa-sisa gereja terakhir yang hanyut oleh laut: All Saints, yang akhirnya jatuh dari tebing pada tahun 1911.
Meskipun Laut Utara agresif dan biasanya memiliki jarak pandang yang hampir mencapai nol, Bacon tetap bertahan.
Pada suatu hari cerah yang jarang terjadi pada 1972, dia melihat menara gereja menjulang di atas air, tertutupi bunga karang merah muda dan dipenuhi kepiting dan lobster.
Penyelaman berikutnya juga berhasil menemukan reruntuhan gereja lain, yakni St. Peter's.
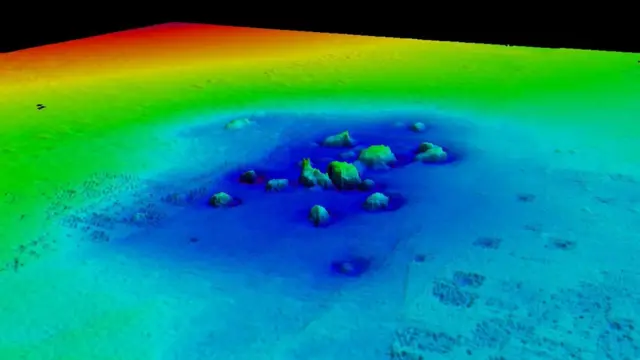
Namun baru beberapa dekade kemudian, ketika survei penuh terhadap dasar laut memberikan gambaran yang jauh lebih lengkap tentang apa yang ada di bawah ombak.

Sumber gambar, GeoData University of Southampton
David Sear, seorang profesor di Departemen Geografi dan Ilmu Lingkungan Universitas Southampton, kerap berlibur di Dunwich ketika masih kanak-kanak.
"Sekitar tiga puluh tahun kemudian saya tertarik menggunakan teknologi sonar terbaru untuk memetakan dasar sungai, dan tiba-tiba minat masa kecil saya pada legenda kota yang hilang ini serta minat akademis saya datang secara bersamaan," ucapnya.
Dengan mendigitalisasi peta kota pada abad ke-16 yang tersedia, menunjukkan Dunwich sebagaimana adanya, dan Sear dapat menunjukkan dengan tepat di mana dapat ditemukan beberapa struktur kota yang hilang.
Pada 2008, dia menyewa kru dan perahu yang dilengkapi sonar untuk memulai pencarian dasar laut yang berbasis teknologi.
Dia masih ingat momen ketika perahu mendekati yang diduga sebagai lokasi pertama.
"Semuanya menjadi sangat tenang ketika kami tiba di situs pertama dan menunggu," kata dia.
"Lalu tiba-tiba terdengar bunyi saat sonar mendeteksi sesuatu dan kami melihat bongkahan batu yang muncul pada tepi layar komputer di kabin."
Dan hal itu kemudian terus terjadi.
Dalam jarak sekitar satu kilometer dari lepas pantai Dunwich kini, Sear dan timnya menemukan biara Blackfriars abad pertengahan, Gereja St. Nicholas, Gereja St. Peter, All Saints, Kapel St. Katherine, dan bongkahan batu yang diduga balai kota dan berbagai bangunan pelabuhan.

Sumber gambar, Sear et al 2013
Legenda kota Dunwich yang hilang ternyata tidak hilang sama sekali, melainkan terletak di dasar laut — hampir persis seperti yang diklaim oleh pembuat peta Tudor dan para pendongeng tua.
Cerita tentang Dunwich bukanlah satu-satunya. Terdapat hampir lebih dari 300 pemukiman di cekungan Laut Utara yang telah hilang selama 900 tahun terakhir akibat erosi pantai ataupun banjir.
Dunwich, bagaimanapun, adalah kota terbesar dari kota-kota yang hilang.
Anda dapat melihat model kota yang telah direkonstruksi di Museum Dunwich, yang memungkinkan Anda untuk melihat kota tersebut pada masa kejayaannya.
"Dunwich memiliki sekitar 10 gereja, dua biara (Blackfriars dan Greyfriars), dan pelabuhan serta pasar harian, menjadikannya pos perdagangan dan pusat pembuatan kapal yang sangat penting," kata Jane Hamilton, seorang manajer museum.

Sumber gambar, Sear et al 2013
"Pedagang Dunwich adalah orang-orang kaya, mengambil untung dari perdagangan anggur, batuan, wol, dan garam.
"Kemakmuran mereka akan tercermin dari bangunan tempat tinggal mereka, menjadikan Dunwich tempat yang tampak kaya."
Namun, kesuksesan Dunwich terancam oleh geografinya.
Dunwich didirikan pada muara dan mulut Sungai Dunwich, yang memungkinkan berkembangnya perdagangan.
Bagian utara kota dibangun di dataran rendah yang dekat dengan sungai, sedangkan bagian tengah dibangun pada dataran tinggi di selatan, di mana tanahnya terbuat dari pasir dan kerikil yang sangat mudah terkikis.
Badai hebat yang terjadi pada tahun 1280-an dan dekade 1320-an menghancurkan gedung-gedung dan memblokir pelabuhan tempat bergantungnya perdagangan.
Daerah dataran rendah terendam selama badai terjadi, sedangkan dataran tinggi terkikis ketika tebing runtuh.
Cara kedua bagian kota ini hancur berhubungan langsung dengan sisa-sisa yang sejauh ini telah ditemukan.
"Ketika kami menemukan bangunan yang jatuh dari tebing mendarat di tempat yang kurang lebih sama, meskipun telah pecah berkeping-keping, bagian kota yang lebih rendah sebelumnya kemungkinan besar telah terendam dengan fondasi bangunan yang relatif utuh," kata Sear.
Pada lepas pantai, sebuah gumuk pasir gumuk yang bergerak bergerak maju ke darat saat garis pantai mundur.

Sumber gambar, Graham Custance Photography/Getty Images
"Kemungkinan yang muncul adalah ketika tebing semakin surut dan gumuk pasir bermigrasi ke pantai, kita dapat mulai melihat secara bertahap beberapa bangunan sebelumnya terekspos. Hal ini mungkin akan jauh lebih utuh," kata Sear.
Ini adalah prospek yang menarik dan dapat membawa pengunjung kembali ke Dunwich dalam jumlah yang belum pernah terlihat semenjak puncaknya.
Namun, mungkin tidak untuk beberapa waktu yang akan datang.
Meskipun tak mungkin untuk tahu kapan pengungkapan ini bisa terjadi, para ilmuwan memperkirakan setidaknya 50 tahun lagi, bahkan mungkin lebih lama.
Dan di samping sensasi penemuan kembali dan lebih banyak lagi kemungkinan yang akan datang, terdapat sebuah peringatan.
"Yang kita temukan di sini adalah kisah tentang komunitas yang gagal menghadapi perubahan yang cepat dalam keadaannya," Sear memperingatkan.
"Kita akan melihat hal ini terjadi di tempat lain di seluruh dunia ketika komunitas mencapai titik kritis di mana mereka tak dapat lagi menyerap serangkaian pukulan yang terjadi secara terus menerus.
"Pada dekade 1120-an, semuanya ingin berinvestasi di Dunwich, tetapi pada tahun 1270, kerusakan infrastruktur dan pemblokiran pelabuhan menyebabkan hilangnya pendapatan.
"Dengan segera, orang-orang mulai menarik diri dan berdagang di tempat lain."
Sembari bergulat dengan dampak global dari perubahan iklim dan sosio-ekonomi, kisah Dunwich bukan hanya kisah masa lalu yang suram. Masa lalu dan masa depan yang menghantui juga terjalin melaluinya.
---
Versi bahasa Inggris dari artikel ini, Dunwich: The British town lost to the sea, bisa Anda simak di laman BBC Travel.




























